kruhove objezdy
Tuž je už to davno. Hodně davno. Kdysik v polovině devadesatych let sem se vydal na nejsevernějši konec Danska. Dansko je taka mala sympatycka země, kera ma s nama hodně společneho. Byla tež okupovana velkym susedem a ma rada pivo. Tym asi podobnost konči, bo u nich se nekrade, u nas naopak čoruje každy, kery dostane přiležitost. Ja, a tajak my ma Dansko enem jednu dalnicu. Sice neni taka dojebana tajak tankodrom Brno-Pragl, ale ja stejně nemam rad dalnice, tuž pokud je to možne, v cizině radši valim menšima cestama, ať tež cosik vidim, ni, když už ten benzin stoji jak cyp?
Bohužel, Bohušu, paralelni cesta na sever Danska podel zapadniho pobřeži je totalně zdevastovana, bo každe dva kilaky musiš dupnut na brzdu a objet kruhovy objezd, kery propojuje tu hlavni cestu s bočnima cestama odnikud nikam. Po hodině jizdy sem věděl, že kdyby se mi dostal pod ruku jakykoliv architekt kruhovych objezdu se jmenem Olsen, Rasmussen nebo Nylsen, tak mu rozjezdim hrudnik všema štyrma kolama na jakemkoliv kruhaču. „Eště štěsti, že u nas nesu take hovada, kere by projektovaly kruhače na kdejaku odbočku do kurnika“, řikal sem si. Mylil sem se. Časy, kdy na cele severni Moravě byl jeden rondel, su pryč. V ramci multykulturni vyměny zme si z ciziny zase přivezli to nejhorši.
Tuž to mi řekněte, kereho hňupa napadlo zrobit kruhač na čtyřprudovce? Že by v tym měl prsty majitel teho autoparku?
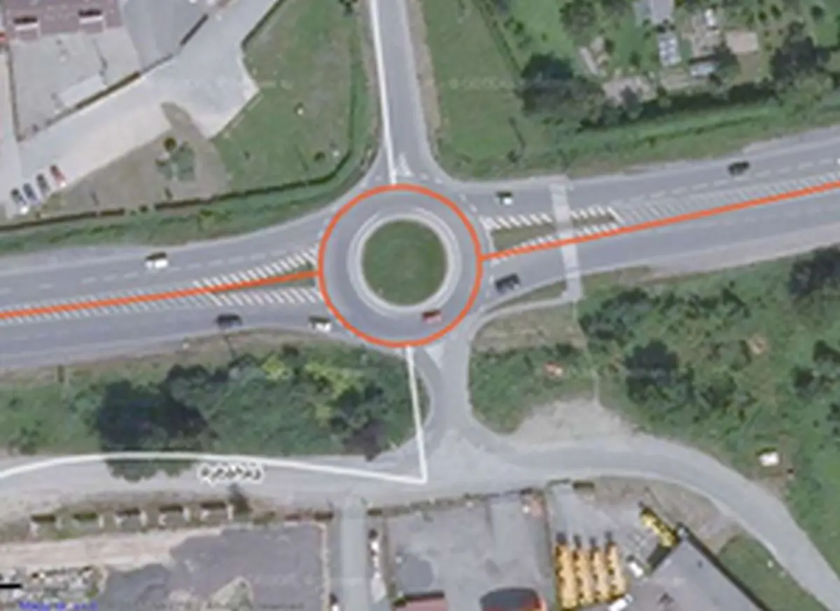
Eště lepši je zrobit kruhač a pak na něho nenapojit přijezdove cesty…
Hlavni cenu „Kruhovy mamlas“ ziskava architekt, kery navrhnul kruhač v zatačce. Jeden vjezd, jeden vyjezd. Gratulujeme! Olomuc, vypadovka na Mohelnicu.
Tuž a tady je ukazka teho, jak može byt kruhač citlivě navrženy a zasazeny do přirody, ku prospěchu všeckych, keři už nikam nespěchaju. Olomuc-Neředin. Městsky hřbitov.
PS: Pokud mate deprese z teho, že enem u nas sedi nahoře mamlasi a pracujici lid drži hubu a krok, nebuďte smutni. Aji ve stare dobre Angliji je možne najit dokonale navržene hovadiny placene pracujicim lidem:





Diskuze: